History’s Rhyme, Part 5: Bad Faith, Unauthorized Acts and Crimes Against Humanity
[NB: Check the byline, thanks! /~Rayne]
It’s time to revisit the ongoing comparison of Nixon’s Articles of Impeachment with possible Articles against Donald Trump. Previous posts in this series:
History’s Rhyme: Nixon’s Articles of Impeachment — focus on Obstruction of Justice
History’s Rhyme, Part 2a: ‘Abuse of Power’ Sounds So Familiar — Abuse of Power (may include Public Corruption)
History’s Rhyme, Part 3: How Nixon’s Impeachment Unfolded — Watergate and Nixon’s near-impeachment timeline
History’s Rhyme, Part 4: Contempt Then, Contempt Now — focus on comparing charges of Contempt of Congress between Nixon and Trump.
An expansion of Part 2 into 2b addressing more abuses of power is planned in the near future. Trump continues to rack them up.
As noted in previous posts in this series, the House Judiciary Committee prepared five Articles of Impeachment against Richard M. Nixon during the course of its impeachment inquiry. Only three of the five were passed out of committee and approved by Congress. We all know Nixon resigned before the House could vote on the three approved articles.
The fourth article which was not approved pertained to Nixon’s Operation Menu — the covert bombing of Cambodia. Congress, which has the sole power to declare war, had not expressly approved this in its 1964 Gulf of Tonkin resolution. The bombings went unreported for four years and contributed to the destabilization of Cambodia.
A fundamental problem with this Article was that Congress bore some of the blame for the bombing; the Gulf of Tonkin resolution was written in such a way that it didn’t expressly preclude bombing of neighboring nations along the border with Vietnam. The resolution also did not constitute a declaration of war against North Vietnam, authorizing instead the use of military force to meet its obligations under the Southeast Asia Collective Defense Treaty. The legality of the military action in Vietnam was on thin ground, making action on any neighboring country even more questionable.
~ ~ ~
It’s not impossible this very same challenges will form the basis for another Article of Impeachment against Trump should he pursue military action against Iran without adequate approval from Congress.
But we already have seen Trump take action without Congressional approval and without the support of existing legislation behind him, beginning with his first week in office. His Executive Order 13769 to begin a Muslim travel ban was illegal; he persisted in pushing a ban focusing on Muslims with subsequent Executive Order 13780 and Presidential Proclamation 9645 until his Departments of Justice and Homeland Security arrived at restrictions which met the letter of existing law according to a now-stacked and partisan Supreme Court after several lawsuits. This is not a faithful execution of the law — 8 U.S. Code § 1158.Asylum — it’s whack-a-mole with innocent humans as collateral damage for no constructive reason or benefit to this country.
The sole benefit of the persecution of asylum seekers has been to curry favor with Trump’s voting base with campaign promises to stop them — and that’s corrupt.
When acting Attorney General Sally Yates announced the Department of Justice would not enforce the Muslim travel ban three days after Trump signed Executive Order 13769, she explained that the ban was not lawful. Trump rejected this opinion and fired her instead of relying on her expert opinion. He had to be told repeatedly by federal judges his executive order was not enforceable because it was unlawful.
People were detained unlawfully. People were unable to travel freely. The primary reason for their restriction was their religious identity — a violation of the First Amendment and its protections of religious freedom. It was a fundamental human rights violation under the Universal Declaration of Human Rights to which the U.S. is a signatory.
Trump’s introduction of a “zero tolerance” policy implemented during the first months of his term in office has also denied freedom of movement to persons seeking asylum at the border. The policy’s implementation resulted in systematic crimes against humanity including enslavement; deportation; imprisonment; torture; sexual assault including rape; persecutions on political, racial and religious grounds; other inhumane acts.
None of this was authorized by Congress; none of this is in 8 U.S. Code § 1158. These acts also violate numerous U.S. laws as well as treaties. While there is not currently a treaty on crimes against humanity, Trump’s bad faith execution of U.S. law and existing treaties like the Convention Relating to the Status of Refugees and the U.N. Convention Against Torture spell out many of these crimes.
Again, Congress did not authorize acts like:
— separating children from parents or guardians;
— holding children in cages;
— trafficking separated children into unauthorized adoptions without parental or guardian consent;
— deportation of minors without parent or guardian;
— failure to track minors so they can be reunited with parents and/or guardians;
— failing to provide reasonable care including adequate food and water, bedding, hygiene, heat and cooling, health care;
— transporting detained persons without notification to parents, guardians, family members;
— refoulement – deporting asylum seekers back to the place they fled;
— forced labor.
Nothing in U.S. law or treaties to which the U.S. has been a party or signatory authorizes this kind of treatment.
Further, Trump’s bad faith execution exacerbates a long-term problem with Immigration and Customs Enforcement (ICE) — too many U.S. citizens have been denied their rights, stopped, interrogated, detained, and treated like aliens simply because they were not white.
Trump also systematically defies a court order issued in June 2018 prohibiting further separations of minors from their families at the border and instructing the Department of Homeland security to return minors to their families. The Trump administration weaseled around the court order, detaining entire families at military facilities — new concentration camps — while DHS continued to separate families on an irregular basis.
We’ve seen evidence of this systematic lawlessness based on inspections by Congressional tours of detention facilities — concentration camps in which asylum seeking minors were denied reasonable “safe and sanitary” conditions.
The number of illnesses and deaths attributable to Trump’s “zero tolerance” policy may never be fully known because the administration has done so much to avoid monitoring and oversight.
~ ~ ~
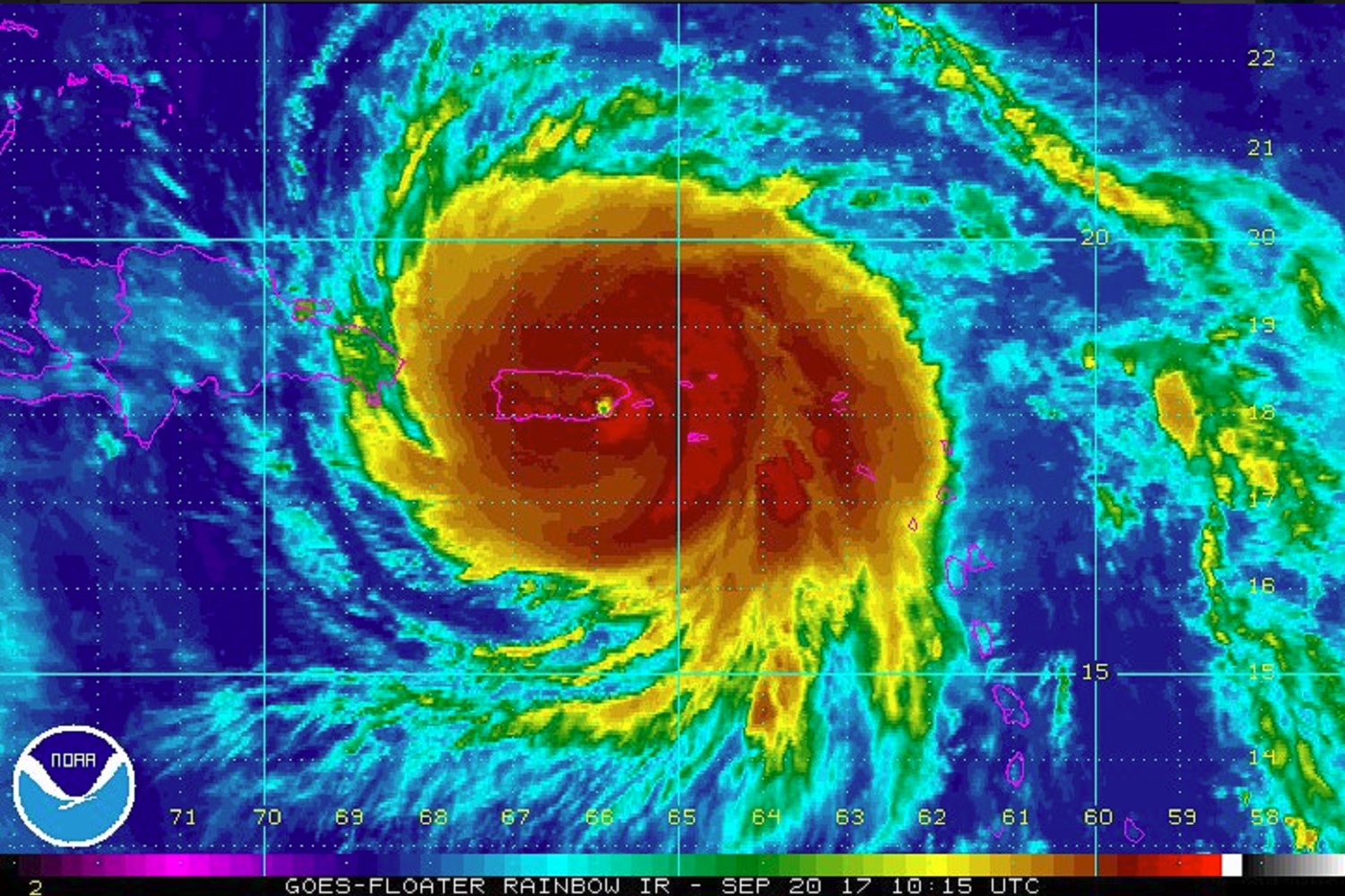
Other deaths which can be wholly attributed to Trump’s bad faith in executing his office are those of 2,975 Americans who lived in Puerto Rico (pdf) when Hurricane Maria hit the island in 2017.
He had to be shamed into dispatching a U.S. Navy hospital ship to provide emergency health care even though the vessel had been waiting well in advance of the hurricane’s strike. It took nearly six weeks after it was dispatched for the vessel to berth and begin delivering care, though the Navy knew in advance of the hurricane that Puerto Rico might need medical support.
The manner in which the emergency aid was provided to the island was grossly negligent when not outright malignant — like the bottles of water left to sit on a tarmac for a year after the storm, or the recall of the hospital vessel U.S.S. Comfort long before its services were no longer needed, or the lack of effort on the White House’s part to work with Congress to assure aid money would be allocated and distributed in a timely basis.
Puerto Ricans were denied their right to equal protection under the law; they were not accorded the same access to federal aid as mainland citizens, in contrast to the assistance received by other Americans after Hurricane Harvey, Irma, and Michael in 2017-2018.
And none of this had the imprimatur of Congress.
~ ~ ~
Unlike Nixon’s Operation Menu which only lasted 14 months, Trump’s derogation of Congress’s authority through his bad faith execution of laws is now into its 33 month. His malign acts increase in depth and breadth, now including the wretched refusal of Bahamians fleeing their hurricane devastated country, continued separation of families including Bahamian children.
And now an even more evil effort has begun: Trump wants to round up homeless people regardless of their citizenship and house them in unused Federal Aviation Administration facilities (read: place them in concentration camps).
There are homeless who work in Silicon Valley, homeless only because there isn’t affordable housing. Will he stop at them? Is he doing this to line his pockets in some way or as a campaign promise not shared with the public?
How has his effort combined with that of his cabinet secretary Ben Carson done anything to improve access to affordable housing when they are undermining civil rights protections for marginalized groups?
None of this effort targeting California’s homeless has been adequately debated by Congress let alone codified by law.
Will Congress do nothing at all to stop this creeping and inhuman fascism, these sustained attacks on human rights of citizens and non-citizens alike?
The 93rd Congress may not have passed the fourth Article of Impeachment against Nixon, but at least they understood and grasped the executive could and must be removed with the three articles they passed. It’d be nice if the 116th Congress was less supine.



![[Photo by Piron Guillaume via Unsplash]](https://empty.runengine.com/wp-content/uploads/2017/07/Healthcare_PironGuillaume-Unsplash_v1.jpg)
![[graphic: Hurricane Maria, 20SEP2017, via NASA GOES]](https://empty.runengine.com/wp-content/uploads/2017/10/HurricaneMaria_NASA-GOES_20SEP2017.jpg)





