Three Things: Was Slow Response to Hurricane Maria Deliberate?
NB: First, a call to action at the bottom — come back and read this after you’ve read the call. Don’t let last night’s tragedy swamp effective action; Congress continues its work no matter what tragedies befall the rest of us.
Having worked in both site and systems administration with responsibility for business continuity, I can’t help wonder why the post-hurricane response to Puerto Rico’s devastation was so bad — so bad it looks deliberate.
~ 3 ~
As an administrator, I looked ahead a year or more to mitigate both costs and risks to my employer and stakeholders. Budget roof repairs expenses for this year, budget roof replacement capital next year; replace the analog alarm system with digital system, budgeted last year. It’s pretty dull stuff but all it takes is one break-in, or one bad storm, and the losses from damage and business disruption could easily surpass capital and expense budgets combined.
But what of states and territories? State/territory, local and federal governments do what they can within the plodding framework of legislation, regulation, and budgetary requirements and restraints. Sometimes things just can’t be addressed preemptively, like major storms. Fortunately, there’s adequate monitoring to help predict when they will hit and what the likely impact will be, and there’s the awesome power of the largest military in the world to deploy as needed.
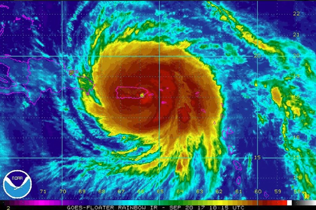
We have monitoring like NASA’s GOES satellite imaging, which visually tracked Hurricane Maria from birth to death as a weakened tropical storm.
24-hour evolution of Hurricane #Maria (140 MPH sustained) and Tropical Storm #Jose (70 MPH sustained) from #GOES16. pic.twitter.com/lb5Kmcmvcl
— NASA SPoRT (@NASA_SPoRT) September 20, 2017
And NOAA’s Hurricane Center, which makes accurate assessments of timing and strength of a storm’s impact.
Hurricane #Maria made landfall near Yabucoa, Puerto Rico, around 6:15am AST with maximum sustained winds of 155 mph (250 km/h) @NWS @NOAA pic.twitter.com/RmFwVMn6r7
— Natl Hurricane Ctr (@NWSNHC) September 20, 2017
Not to mention whatever additional monitoring and reporting the Defense Department had to offer.
We know with certainty the U.S. government was aware from NASA and NOAA reporting that Maria was a Category 5 storm as it approached Puerto Rico. The National Hurricane Center issued 17 reports over four days warning of the storm’s size, strength, and timing of landfall. I can’t imagine government agencies offering any less now than they did under the last administration.
And yet the Trump White House did virtually nothing to prepare for storm response.
You’d think that a guy with experience managing real estate and businesses for continuity would have utilized these best-on-earth notifications to mitigate and recover injury and damage to Puerto Rican Americans and their property. But for some reason this same guy now occupying the White House spent his time harping about NFL players and golfing instead.
~ 2 ~
This tweet thread crossed my timeline last week; I wondered who leaked and why there was so little followup, because the claim it makes is quite serious. (Click to expand the thread in Twitter.)
2- This is 5 days after Hurricane Maria hit Puerto Rico. Others on the call: pic.twitter.com/geJvXDsgr4
— Holly O'Reilly (@AynRandPaulRyan) September 28, 2017
If this claim is accurate, the Trump White House sat on its tiny mittens and did absolutely nothing to approve a response to a major catastrophe which was expected with a very high degree of certainty to devastate an American territory home to ~3.5 million citizens.
If this happened five days AFTER landfall, was nothing done by the White House BEFORE Maria made landfall?
It’s not as if taking proactive action was difficult, either. I am certain government agencies and the Defense Department were ready to move with plans they’ve had prepared for some time, tweaked for this particular event. All it would take is a simple verbal Yes to proceed.
Or an executive order which we all know this White House can produce like so much facial tissue.
~ 1-a ~
All the monitoring and reporting provided to the White House, from NOAA and NASA to Defense Department, was budgeted and authorized by Congress for the purposes of serving American citizens. The public expects a level of performance for the taxes they pay; monitoring and reporting on weather and risks from weather are but part of their expectations.
American citizens expect and pay for their government to deliver effective and timely response when their domestic tranquility and general welfare are disrupted, whether nation-state or weather- and climate-based threats. They do not expect to be left without clean water, no minimum shelter, no emergency health care, let alone an empty wallet depleted by taxation which paid for common defense they didn’t receive.
Why have Puerto Rican Americans not received the same level of government responsiveness and services their fellow citizens have received post-hurricane Harvey and Irma?
Why can’t we get a straight answer about the White House’s planning in response to Hurricane Maria two to three days after landfall? Is it because the lack of any response is as bad as the lack of preparation — utterly missing, perhaps deliberately so?
We asked WH & FEMA to tell us if Trump was briefed between 9/22-9/25 by anyone directly involved in hurricane response. They refused. https://t.co/LPRFSxMbJq
— Abby D. Phillip (@abbydphillip) September 30, 2017
At some point this isn’t about the White House and its executive function. It’s about Congress which has failed to ensure the executive knows exactly what is expected of it and what action should be nearly automatic from the executive office.
Oh, but that’s too much legislation, conservatives will say. No — it’s inadequate existing legislation which has incorrectly assumed for too long a competent manager will execute U.S. laws. It’s too many sick, injured, dying, dead Americans in the wake of ineffective governance.
And it’s inadequate action on the part of Congress to tolerate an incompetent executive.
To be concise, more than one branch of government failed Americans.
And those branches now have blood on their hands.
"There's a medical center down here, and everyone that was in the Intensive Care Unit, died. Everyone. That's just one detail." 4/
— Nelson M. Rosario (@NelsonMRosario) September 30, 2017
In one #PuertoRican nursing home, a struggle to get power and keep patients alive after #Maria https://t.co/6qQp2SoL6B pic.twitter.com/t1rgyJlOPO
— Carolyn Cole (@Carolyn_Cole) October 1, 2017
Do something about this before more Americans die. Do more than hold a hearing.
~ 1-b ~
By the way, FEMA’s Brock Long has proven himself an idiot. He should be given the boot.
On Fox FEMA Administrator Brock Long says hurricane relief for Puerto Rico is “the most logistically challenging event the US has ever seen”
— Chad Pergram (@ChadPergram) October 1, 2017
An under-funded agency could land two rovers successfully on Mars and operate them for years to conduct research, but humanitarian response to a predicted hurricane utilizing the largest standing military on earth is too complicated? Fuck that.
And fuck this guy — I don’t even know who this pasty slack-handed suit is, but he can take his lies and shove them sideways. The storm did NOT cause you and your co-workers to be idiots and liars, boy.
Top Trump aide in memo to staff: "The storm caused these problems, not our response" to Puerto Rico https://t.co/f3NuXdOWxy pic.twitter.com/hRjLX0mIpj
— The Hill (@thehill) October 1, 2017
~ 0 ~
Call to Action: Congress continues to work on bills regardless of the tragedy in Las Vegas or the growing catastophic death toll in Puerto Rico. Your efforts helped kill the last ACA repeal attempt formerly known as Graham-Cassidy. These are our next challenges.
CHIP expired at midnight Saturday night. Congress left for the weekend allowing health care funding for 9 million American children to expire. Not much better than President Cheeto going golfing while ignoring Puerto Rico. Call your representatives and demand CHIP funding be addressed immediately. Script for the Wyden-Hatch bipartisan CHIP bill here — note also you may need to call your state officials as well.
Net Neutrality is back on the bubble. FCC chair Ajit Pai has consistently attacked it throughout his brief tenure, sucking up to the telecom industry while ignoring the public’s best interests. Call your representatives and demand net neutrality be assured by voting NO on another five-year term for Pai as chair. Script for your call here. VOTE IS SCHEDULED TODAY — HURRY. Get a leg on this before AT&T persuades the Supreme Court to wade in.
Guns on schedule this week: a bill to approve the sale of gun silencers. Las Vegas’s mass shooting last night should be proof enough that “hearing protection” for shooters is the last thing Congress should worry about. The bill also allows the sale of armor-piercing ammunition. Hell, no. Script for your House rep, and script for your Senators.
A vote to make abortion illegal at 20 weeks on tap tomorrow. No. No freaking way. You may not like abortion, but read this piece — imagine the emotional and physical horror for a woman and her family as she is forced by law to carry a non-viable fetus to term. This decision should be between her, her partner, and her doctor. Make the call.
Congress’ switchboard number is (202) 224-3121. Don’t be like the guy in the White House when you can see action is needed.

![[graphic: Hurricane Maria, 20SEP2017, via NASA GOES]](https://empty.runengine.com/wp-content/uploads/2017/10/HurricaneMaria_NASA-GOES_20SEP2017.jpg)


The U.S. Citizens of Puerto Rico, if they could vote for U.S. Offices, and if they could vote for repubicans, then things may have been different.
But since they can not vote for republicans, the indifference demostrated by #UnfitForOffice should not surprise.
I don’t buy for a second that statehood status determined outcome. US response to Haiti’s and Japan’s earthquakes are just two examples, and they were disasters that couldn’t be forecast. Clearly the executive office has the resources to respond appropriately without statehood.
The problem is Trump. Even if he’s pissing on PR out of pique because of his failed golf course, the problem is still him, enabled by GOP members of Congress who in turn are slaves to their billionaire masters.
Which is why Trump doesn’t want photographs of his visit to PR tomorrow, but is making a point of appearing in Las Vegas on Wednesday — scene of an unnatural, man-made crisis, and home to billionaire GOP donor Adelson.
OK. I’ll go with your reasoning.
Trump is just an dumbass that can not do his fucking job. Truly #UnfitForOffice
either planning for the aid puerto rico and the virgin islands would unquestionably need after maria was ignored by the whitehouse or it was slow-walked by the whitehouse.
the premier response, a dod response, was unquestionably slow. why?
why? lots of possibilities but a likely one is that puerto ricans cannot affect a politician’ s career very much:
https://www.washingtonpost.com/graphics/2017/national/fair-representation/?
another is the kind of stereotype that rich republicans like trump would learn over their lifetimes – to sum up, hispanics as an inferior group of people.
i realize there is a strong inclination to use words like “racist” and “racism” in situations like this, but i am less fond of those words because their casual overuse comes to blunt our emotional response to what most certainly are slights and harm based on ethnic stereotypes.
1) Pretty sure the military was waiting for POTUS to get off his goddamned golf slacks BEFORE landfall and set response in motion. This is why we’re seeing leaks and why nobody wants to answer questions on the record about when Golfboy was briefed and what recommendations he received.
2) Again, as I told SPL, Golfboy’s response has nothing to do with political power like that conferred by statehood. It has everything to do with the person responsible for setting motion in action — to be blunt, an unethical narcissistic lardass chose to do nothing because there was nothing in it for him personally. He’s a malignancy.
3) And RACISM certainly has something to do with this, beginning with PR’s colonization. You claim PR’s political status (or lack thereof) is to blame, and yet you can’t see that PR has lesser political status because it’s populated by persons of minority ethnic status? RACISM is how Trump gets away with deliberately ignoring PR leading up to and a week after the hurricane; it’s what keeps the GOP from bothering itself to hold him accountable.
It’s a one-two punch: a long-corrupt, always-selfish dirtbag chooses to do nothing (or worse), and a racist, misogynist system of governance bolsters him. All that’s left is to count the bodies until the people finally have enough of this crap.
rayne wrote:
“… And RACISM certainly has something to do with this, beginning with PR’s colonization. You claim PR’s political status (or lack thereof) is to blame, and yet you can’t see that PR has lesser political status because it’s populated by persons of minority ethnic status? RACISM is how Trump gets away with deliberately ignoring PR leading up to and a week after the hurricane; it’s what keeps the GOP from bothering itself to hold him accountable… ”
oh, rayne, get off your high horse and read, for understanding, what your commenters wrote.
i did not write or imply that racism was not involved. i talked about the dangers of blunting people’s emotional responses by constant use, amounting to over use, of the word” racism”. we richochet from the muslim ban(s) to endless crime in large cities, to charlottesville, to police told to rough up prisoners, to puerto rico. do you think it is effective to run around waving a flag and screaming “race” all the time. paying more attention to the hurtful details of each situation improves understanding and empathy. find words beyond “racism” to use.
i don’t make any claim about p. r. ‘s lack of political status being to blame, though i don’t doubt for a minute that it i was, nor could you reasonably doubt that. what i claim is specific to donald trump’s m. o. ; trumps rewards those who help him and punishes those who don’ t. days after becoming prez he started undoing the dodd-frank protections because he had friends who could not get loans. weeks after the inauguration he started undoing the clean air clean water regs to help his pals in the coal industry who had given $ 1/3 million to his inaugural and much more to his campaign. he put price in at hhs and pruitt in at epa to reward the koch octopus. texas and florida senators and congressmen are not going to be ignored, ever! p. r. has no hold on trump’s dick. if it did aid would have started earlier and landed earlier. there were still only 4500-6500 u. s. troops in p. r. on sunday.
My high horse? Maybe it’s because I’m only half white I can see exactly how easy it is for white people to blow off racism; the misogyny was obvious enough to warrant a march on Day 1 of this administration.
I pointedly said here in comments that Trump was “an unethical narcissistic lardass chose to do nothing because there was nothing in it for him personally.” You agreed with that by saying “trumps rewards those who help him and punishes those who don’ t (sic).”
But I’m on my high horse. Uh-huh.
__________
The next question which needs to be asked: Did Trump choose to do nothing because there was something in it for him to do nothing?
Is the reason he chose to talk with the former governor of Puerto Rico, now a lobbyist in DC, because there’s something in it for him while destroying PR?
yes, rayne, high horse.
most people here know you’re part chinese, part skaal, and other parts, but that background does not convey greater moral insight or moral superiority. if, however, you are comfortable yelling “racism” at every depredation trump makes of those who need government care, legal protection, and financial assistance over the next 3 1/2 years, have at it. personally, i think that sooner or later you are going to need to add some details to your arguments if you want people to continue paying attention and not turn a deaf ear.
mayor cruz’s point was she just wanted some help, like yesterday, and the evidence is clear she should have gotten it but did not from an ungiving whitehouse. i don’t think i have yet heard her refer to contempt for hispanics, or frankly, any motives for the president’s neglect. that battle seems to be being carried out here on the mainland between trump and those who despise him.
i would guess that with many americans, the details about lack of timely help carry great weight.
One could also mention a young inexperienced governor, who has the job largely because his father was governor, and a kind of off-island financial control commission that controls all major expenditures.
Under cover of a 1952 constitution essentially mandated by a Republican Congress, it “legally” prioritizes repaying foreign, that is, American, debt ahead of providing and paying for even essential government services. A colony in all but name that Smedley Butler would easily recognize.
And yet the argument against failing to protect/recover/restore PR is that PR’s economy is now destroyed and can’t make payment on debt in anything approaching a reasonable time frame. Doesn’t matter whether the governor is seasoned or experienced; feds certainly didn’t use that as a criteria for stepping in to aid in Harvey or in Irma recovery.
If I didn’t know better that’s the plan the citizens of PR will have to move off the island so the banksters can take ownership. Then sell off parts to their zillionaire white masters of all things.
I agree with what you’re saying and if PRs citizens are lucky they won’t end up the citizens of Haiti who are still paying the price for overthrowing the slave masters.
It would be great if PR could vote to leave Amerikas death grip and maybe join with Cuba, Russia, China, and the Brics
i glad, rayne, that you mentioned not having one’s focus broken by matters like the shooting and the trump twitters.
my wife told me last night that the chip program (poor children’s health) program funding ran out at the end of the fiscal year (9/30/17). i had’t realized that. there are four children in our neighborhood she’s trying to help get that coverage. jared burnstein wrote that the snap program (food stamps) funding expired at the same time. abortion (and probably, soon, contraception) and sexuality are always targets of the christian right. mean christians, misers, and misanthrops are the core of today’s republican party. one must always be on guard for one of their attacks, or multiple attacks, in the political malstrom donald trump has generated since january. god it’s been a long 8 months!
Rayne’s 16:36 questions are well taken since even though the Kaiser’s administration does stupid things there is always a reason for them, such as the delayed Jones Act lifting due to the input of the shipping companies. It was also total kabuki.
As for the DOD assets, anything out of the East Coast would take about four days (as well as going into the storm to get to the island), but anything that was present in GTMO would be there within 2 days at the most and following the storm. What is not known to me is whether GTMO’s damage from Irma limited the available help. However, the DOD will not move until they have orders to prevent troops and ships from being in the wrong places, but they do have the plans for this kind of event. I’m a little surprised Southern Command in Tampa did not just move on this, but they are also going to to be involved with Irma and Harvey responses as well.
@Rayne @OrionATL
Don’t let Fascists divide you.
They do not care about anyones genetic background. They just want people around them to think like they do.
We all know things are royally fucked up.
It is all about money. Keep that in mind.
The love of money is the root of all evil.
OT: Equifax
http://www.chicagotribune.com/business/ct-equifax-hack-state-sponsored-pros-20171002;-story.html
This wasn’t a credit card play,” said one person familiar with the investigation. “This was a ‘get as much data as you can on every American’ play.”.
Off topic Marcy,I also sent an email, this vegas shooting doesn’t look like a lone mad man, there were people shouting before the shooting began, you’re all gonna die
https://tv.youtube.com/?utm_source=email&utm_medium=fallshows&utm_campaign=email_fallshows_17&onboard=2
Naw, that is almost certainly bunk.
Let’s not waste, and let’s not allow our government to waste, any time or effort or money on figuring out why the Vegas shooting happened. So what? He’s a nut with guns. We can’t take all the nuts off the earth, and you can’t (in this country) take away all the guns. No matter what motivation is eventually found after many millions of taxpayer dollars are spent, that won’t make a dime’s worth of difference to the next guy to come along. Did understanding the motivation of the Columbine or Sandy Hook or Charlotte or any other shooting, help to prevent this one? No. Spend the money elsewhere, to help the victims or on enforcement of current laws, but don’t spend it on motivational research.
“And those branches now have blood on their hands.”
Afghanistan, Iraq, Pakistan, Libya, Syria, Somalia, Yemen–those branches have had plenty of blood on their hands LONG before Maria hit Puerto Rico. The fact that those other victims are not American citizens ought not to matter to anyone of good conscience.
Hard not to see it as recklessly indifferent. If not flat out intentional. Yes, those are criminal mental states.
Crime Family USA
ProPublica today: Ivanka and Donald Trump Jr. Were Close to Being Charged With Felony Fraud
this is definitely off-topic with respect to puerto rico and hurricane damsge, but it deals very directly with the lack of leadership at the top of organizations, whether the univ of virginia or the u. s. government:
https://www.washingtonpost.com/news/grade-point/wp/2017/10/04/the-white-nationalists-were-allowed-to-take-the-university-a-counterprotester-writes-to-u-va-s-president/?
wapo’s jennifer rubin, by far trump’s most competent day-to-day, detail-by-detail media critic, has this to say about yesterday’s incompetent emotional leadership in p. r. :
https://www.washingtonpost.com/blogs/right-turn/wp/2017/10/04/it-is-trumps-nature/?
Perfect Pitch from Jeremy Konyndyk @JeremyKonyndyk , former US Chief of Foreign Disaster Assistance on Trump’s visit to Puerto Rico.[Read the whole thing.]
Why are we wondering about whether the non-response was deliberate?
There are billions of dollars at stake. One of the major Puerto Rican bondholders is a Republican who supported Hillary Clinton, Seth Klarman. The utility company is a plum that vulture capitalists hope to seize. Disaster gives Trump a chance to bully opponents and reward vassals. The fact that the people involved are brown just makes it fun for him.
to me the key info in the intercept article you cite is this:
“…. Iván Rivera Reyes, a Puerto Rican lawyer and politician, wrote that “COFINA was a creation of Wall Street financial whizzes Goldman Sachs and counts large billion-dollar hedge funds like GoldenTree Asset Management, Whitebox Advisors and Baupost Group as bondholders.”… ”
several commenters here have provided us with very useful political and financial history of p. r. reading those, i had wondered if by any chance that gold-sniffing gollum goldman sachs had had a hand in puerto rico’s decent into bonded indebtedness. that concern was brought to mind by a recollection that goldman sachs’ was involved in the recent greek government debt crisis that had a consequence of greece having to sell public assets like ports and buildings to private investors in order to meet their creditors demands – demands that were backed up by the european union, especially germany.
i would love to learn more of this financial and political history as it applies to puerto rico.
then there are those other carribean-americans also being largely ignored:
https://www.nytimes.com/2017/10/04/insider/are-you-fema-a-reporter-returns-to-virgin-islands-to-find-despair.html?
not my area of understanding, but here are some readings:
– https://www.democracynow.org/2016/7/15/puerto_ricos_payday_loans_nearly_islands
– https://www.scribd.com/mobile/document/346601040/Goldman-s-Strong-Man-in-Puerto-Rico
– https://www.bloomberg.com/graphics/2017-puerto-rico-debt-crisis/
– https://www.thenation.com/article/goldmans-greek-gambit/
i thought this was a useful summary of both puerto rico’s long-term indebtedness and the likely impact of the hurricane disaster on its short-term government finances:
https://www.nytimes.com/2017/10/04/opinion/puerto-rico-debt.html?
of particular note, and deserving of both contempt and public exposure, is the lobbying by the creditors to sabatoge the reasonable actions of a bigpartisan commission set up to solve p. r. ‘s indebtedness.